物件番号1792
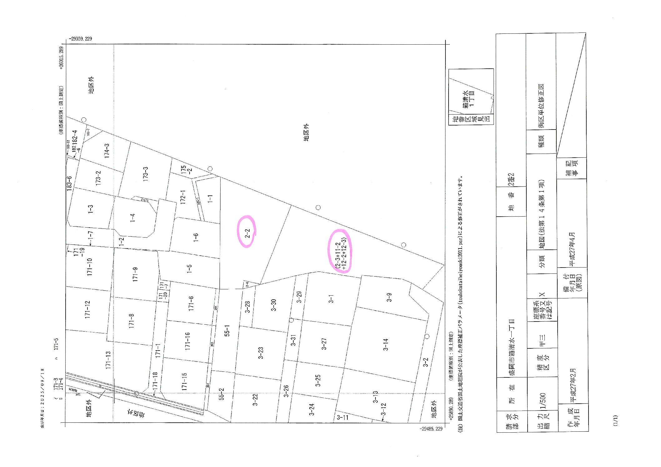
盛岡市箱清水1丁目2-2外
販売価格 1,540万円
| 所在地 | 盛岡市箱清水1丁目2-2、2-3、11-2、12-2、12-3 | ||
|---|---|---|---|
| 交通 | 医大グランド前バス停 徒歩7分 | ||
| 土地面積(坪) | 385.08坪 | 坪単価 | 3.99万円 |
| 土地面積(㎡) | 1,273.00㎡ | 私道負担面積 | |
|
|
|||
| 交通 | 医大グランド前バス停 徒歩7分 | ||
|---|---|---|---|
| 所在地 | 盛岡市箱清水1丁目2-2、2-3、11-2、12-2、12-3 | ||
| 物件種目 | 売地 | ||
| 価格 | 1,540万円 | 坪単価 | 3.99万円 |
| 土地面積 | 1,273.00㎡ | 坪数 | 385.08坪 |
| 最適用途 | 宅地 | 私道負担面積 | |
| 土地権利 | 所有権 | 都市計画 | 市街化区域 |
| 用途地域 | 1種低層 | 地勢 | 平坦 |
| 建ぺい率 | 50% | 容積率 | 80% |
| 接道状況 | 西側公道4m | 地目 | 畑 |
| 国土法届出 | セットバック | ||
| 特記事項 | 現在、畑として賃貸中。 | ||
| 設備 | 公営水道、公共下水、プロパンガス。下水道引込み要。下水道区域外流入手続き要。 | ||
| 学区 | 緑が丘小学校 黒石野中学校 | ||
| 備考 | 農地転用要、開発行為不可。 | ||
| 条件等 | 現況渡し | 現況 | 更地 |
| 引渡し | 相談 | 取引態様 | 一般 |
| 物件番号 | 1792 | ||
個人情報の取り扱いについて
ご入力いただいた個人情報は、お客様への資料送付や電話、電子メール等でのご連絡のためにのみ利用させていただきます。
お問い合わせを行う前に、「プライバシーポリシー」を必ずお読みください












