物件番号1805
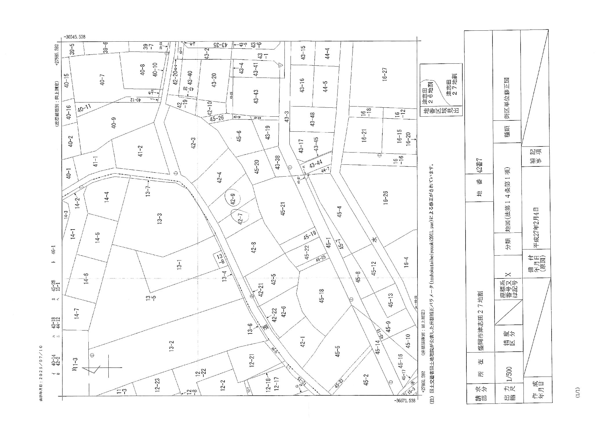
盛岡市津志田27地割42-7、42-9
販売価格 1,400万円
| 所在地 | 盛岡市津志田27地割42-7、42-9 | ||
|---|---|---|---|
| 交通 | 川久保バス停 徒歩6分 | ||
| 土地面積(坪) | 71.30坪 | 坪単価 | 19.63万円 |
| 土地面積(㎡) | 235.73㎡ | 私道負担面積 | |
|
|
|||
| 交通 | 川久保バス停 徒歩6分 | ||
|---|---|---|---|
| 所在地 | 盛岡市津志田27地割42-7、42-9 | ||
| 物件種目 | 売地 | ||
| 価格 | 1,400万円 | 坪単価 | 19.63万円 |
| 土地面積 | 235.73㎡ | 坪数 | 71.30坪 |
| 最適用途 | 宅地 | 私道負担面積 | |
| 土地権利 | 所有権 | 都市計画 | 市街化区域 |
| 用途地域 | 1種住居 | 地勢 | 平坦 |
| 建ぺい率 | 60% | 容積率 | 200% |
| 接道状況 | 北側公道2.5m 間口13m | 地目 | 宅地 |
| 国土法届出 | セットバック | ||
| 特記事項 | 区画整理未施工、第53条許可申請要 | ||
| 設備 | 公営水道、公共下水、プロパンガス | ||
| 学区 | 津志田小学校 見前中学校 | ||
| 備考 | 市街地景観地域、22条区域。 【居住誘導区域】公共交通沿線居住区域 | ||
| 条件等 | 解体更地渡し | 現況 | 建物有 |
| 引渡し | 相談 | 取引態様 | 一般 |
| 物件番号 | 1805 | ||
個人情報の取り扱いについて
ご入力いただいた個人情報は、お客様への資料送付や電話、電子メール等でのご連絡のためにのみ利用させていただきます。
お問い合わせを行う前に、「プライバシーポリシー」を必ずお読みください




