物件番号1815
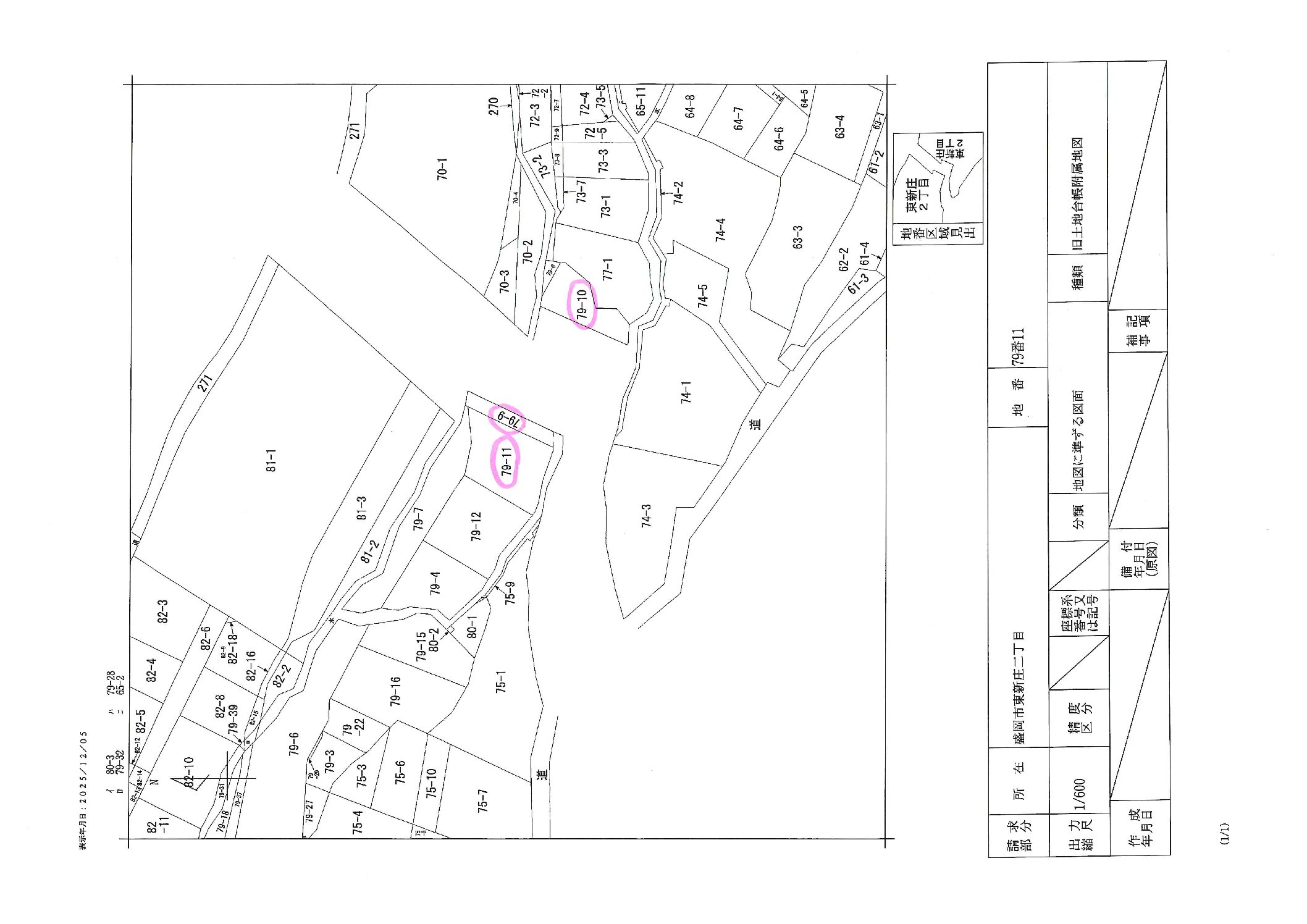
盛岡市東新庄2丁目79-11、79-9、79-10
販売価格 1,300万円
| 所在地 | 盛岡市東新庄2丁目79-11,79-9,79-10 | ||
|---|---|---|---|
| 交通 | 新庄バス停 徒歩1分 | ||
| 土地面積(坪) | 136.99坪 | 坪単価 | 9.48万円 |
| 土地面積(㎡) | 452.86㎡ | 私道負担面積 | |
|
|
|||
| 交通 | 新庄バス停 徒歩1分 | ||
|---|---|---|---|
| 所在地 | 盛岡市東新庄2丁目79-11,79-9,79-10 | ||
| 物件種目 | 売地 | ||
| 価格 | 1,300万円 | 坪単価 | 9.48万円 |
| 土地面積 | 452.86㎡ | 坪数 | 136.99坪 |
| 最適用途 | 宅地 | 私道負担面積 | |
| 土地権利 | 所有権 | 都市計画 | 市街化区域 |
| 用途地域 | 1種低層 | 地勢 | 傾斜地 |
| 建ぺい率 | 40% | 容積率 | 80% |
| 接道状況 | 北側公道12.6m、間口18m | 地目 | 他 |
| 国土法届出 | セットバック | ||
| 特記事項 | 農転要す | ||
| 設備 | 公営水道、公共下水 | ||
| 学区 | 城南小学校 城東中学校 | ||
| 備考 | 地番:79-9地目、宅地。 地番:79-10、79-11地目、田。 市街地景観地域、22条区域。 【居住誘導区域外】一般居住区域 | ||
| 条件等 | 現況渡し | 現況 | 建物有 |
| 引渡し | 相談 | 取引態様 | 専任 |
| 物件番号 | 1815 | ||
個人情報の取り扱いについて
ご入力いただいた個人情報は、お客様への資料送付や電話、電子メール等でのご連絡のためにのみ利用させていただきます。
お問い合わせを行う前に、「プライバシーポリシー」を必ずお読みください













