物件番号1809
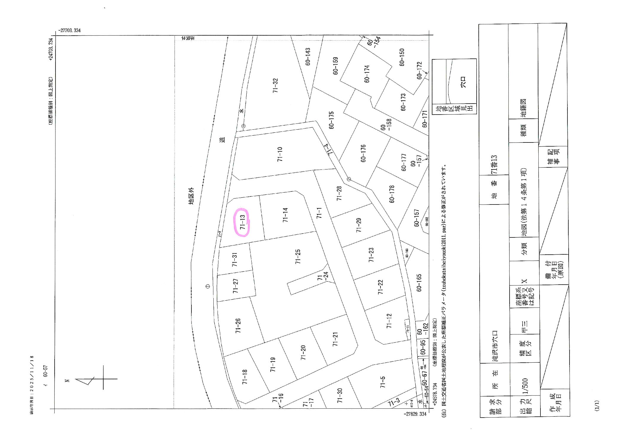
滝沢市穴口71-13
販売価格 1,100万円
| 所在地 | 滝沢市穴口71-13 | ||
|---|---|---|---|
| 交通 | IGRいわて銀河鉄道線 厨川駅 徒歩13分 | ||
| 土地面積(坪) | 60.43坪 | 坪単価 | 18.2万円 |
| 土地面積(㎡) | 199.79㎡ | 私道負担面積 | |
|
|
|||
| 交通 | IGRいわて銀河鉄道線 厨川駅 徒歩13分 | ||
|---|---|---|---|
| 所在地 | 滝沢市穴口71-13 | ||
| 物件種目 | 売地 | ||
| 価格 | 1,100万円 | 坪単価 | 18.2万円 |
| 土地面積 | 199.79㎡ | 坪数 | 60.43坪 |
| 最適用途 | 宅地 | 私道負担面積 | |
| 土地権利 | 所有権 | 都市計画 | 市街化区域 |
| 用途地域 | 1種住居 | 地勢 | 平坦 |
| 建ぺい率 | 60% | 容積率 | 200% |
| 接道状況 | 北側公道9m、東側公道6.1m | 地目 | 宅地 |
| 国土法届出 | セットバック | ||
| 特記事項 | 宅造規制区域、市街地景観形成エリア | ||
| 設備 | 公営水道、公共下水、プロパンガス | ||
| 学区 | 滝沢小学校 滝沢中学校 | ||
| 備考 | 22条区域 | ||
| 条件等 | 解体更地渡し | 現況 | 建物有 |
| 引渡し | 相談 | 取引態様 | 一般 |
| 物件番号 | 1809 | ||
個人情報の取り扱いについて
ご入力いただいた個人情報は、お客様への資料送付や電話、電子メール等でのご連絡のためにのみ利用させていただきます。
お問い合わせを行う前に、「プライバシーポリシー」を必ずお読みください









