物件番号929
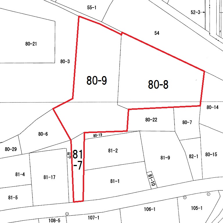
北上市和賀町横川目12地割80-8、80-9、81-7
販売価格 700万円
| 所在地 | 北上市和賀町横川目12地割80-8、80-9、81-7 | ||
|---|---|---|---|
| 交通 | JR北上線 横川目駅 徒歩5分 | ||
| 土地面積(坪) | 599.63坪 | 坪単価 | 1.17万円 |
| 土地面積(㎡) | 1,982.26㎡ | 私道負担面積 | |
|
|
|||
| 交通 | JR北上線 横川目駅 徒歩5分 | ||
|---|---|---|---|
| 所在地 | 北上市和賀町横川目12地割80-8、80-9、81-7 | ||
| 物件種目 | 売地 | ||
| 価格 | 700万円 | 坪単価 | 1.17万円 |
| 土地面積 | 1,982.26㎡ | 坪数 | 599.63坪 |
| 最適用途 | 宅地 | 私道負担面積 | |
| 土地権利 | 所有権 | 都市計画 | 非線引区域 |
| 用途地域 | 無指定 | 地勢 | 平坦 |
| 建ぺい率 | 70% | 容積率 | 200% |
| 接道状況 | 南側公道5m、間口4m | 地目 | 他 |
| 国土法届出 | セットバック | ||
| 特記事項 | 有効面積は約300坪(約260坪は山林) | ||
| 設備 | 公営水道、個別浄化槽、プロパンガス | ||
| 学区 | 和賀西小学校 和賀西中学校 | ||
| 備考 | 地目:宅地・雑種地・山林。景観条例 | ||
| 条件等 | 現況 | 更地 | |
| 引渡し | 相談 | 取引態様 | 一般 |
| 物件番号 | 929 | ||
個人情報の取り扱いについて
ご入力いただいた個人情報は、お客様への資料送付や電話、電子メール等でのご連絡のためにのみ利用させていただきます。
お問い合わせを行う前に、「プライバシーポリシー」を必ずお読みください







