おすすめポイント:自然に囲まれた悠々自適な生活を
物件番号1202
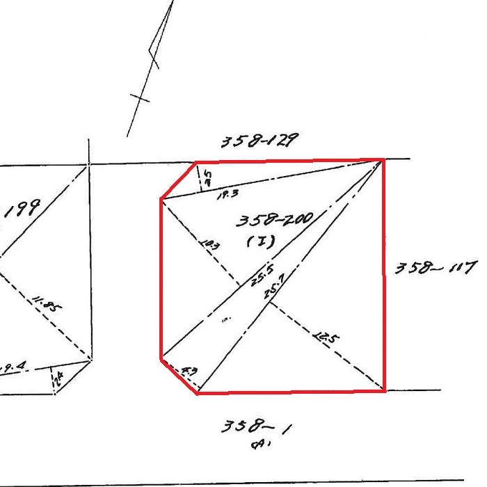
八幡平市松尾寄木第13地割358-200
販売価格 150万円
| 所在地 | 八幡平市松尾寄木第13地割358-200 | ||
|---|---|---|---|
| 交通 | 新田口バス停 徒歩11分 | ||
| 土地面積(坪) | 112.22坪 | 坪単価 | 1.34万円 |
| 土地面積(㎡) | 371.00㎡ | 私道負担面積 | |
|
|
|||
| 交通 | 新田口バス停 徒歩11分 | ||
|---|---|---|---|
| 所在地 | 八幡平市松尾寄木第13地割358-200 | ||
| 物件種目 | 売地 | ||
| 価格 | 150万円 | 坪単価 | 1.34万円 |
| 土地面積 | 371.00㎡ | 坪数 | 112.22坪 |
| 最適用途 | 宅地 | 私道負担面積 | |
| 土地権利 | 所有権 | 都市計画 | 区域外 |
| 用途地域 | 無指定 | 地勢 | 平坦 |
| 建ぺい率 | 容積率 | ||
| 接道状況 | 北側公道6m、南側公道6m、西側公道6m | 地目 | 原野 |
| 国土法届出 | セットバック | ||
| 特記事項 | |||
| 設備 | 公営水道、個別浄化槽、プロパンガス、上水道引込み要する | ||
| 学区 | 寄木小学校 松尾中学校 | ||
| 備考 | 田園景観形成地区 | ||
| 条件等 | 現況 | 更地 | |
| 引渡し | 即時 | 取引態様 | 一般 |
| 物件番号 | 1202 | ||
個人情報の取り扱いについて
ご入力いただいた個人情報は、お客様への資料送付や電話、電子メール等でのご連絡のためにのみ利用させていただきます。
お問い合わせを行う前に、「プライバシーポリシー」を必ずお読みください



